Избранное
Сравнение
Ваша корзина пуста!
Корзина
Новинка
ЛИНИЯ Линия IP 1
ЛИНИЯ Линия IP 1
4985
Программное обеспечение «Линия» с возможностью подключения 1 канала IP-видео. «Линия IP-видеонаблюдение» – продукт, пре..
На складе
3480 ₽
Новинка
ЛИНИЯ Линия IP 16
ЛИНИЯ Линия IP 16
4993
Программное обеспечение с возможностью подключения 16 каналов IP «Линия IP-видеонаблюдение» – продукт, предназначенный ..
На складе
55680 ₽
Новинка
ЛИНИЯ Линия IP 32
ЛИНИЯ Линия IP 32
5074
Программное обеспечение Линия с возможностью подключения 32 каналов IP «Линия IP-видеонаблюдение» – продукт, предназнач..
На складе
111360 ₽
Новинка
ЛИНИЯ Линия IP 4
ЛИНИЯ Линия IP 4
4986
Программное обеспечение Линия с возможностью подключения 4 каналов IP «Линия IP-видеонаблюдение» – продукт, предназначе..
На складе
13920 ₽
Новинка
ЛИНИЯ Линия IP 64
ЛИНИЯ Линия IP 64
5075
Программное обеспечение Линия с возможностью подключения 64 каналов IP «Линия IP-видеонаблюдение» – продукт, предназнач..
На складе
222720 ₽
Новинка
ЛИНИЯ Линия IP 8
ЛИНИЯ Линия IP 8
4987
Программное обеспечение Линия с возможностью подключения 8 каналов IP «Линия IP-видеонаблюдение» – продукт, предназначе..
На складе
27840 ₽
Новинка
AutoTRASSIR HW
AutoTRASSIR HW
5078
AutoTRASSIR HW – модуль интеграции аппаратного распознавания автомобильных номеров IP-видеокамерой в систему AutoTRASSIR..
Под заказ
12200 ₽
Новинка
AutoTRASSIR-200 AvgSpeed
AutoTRASSIR-200 AvgSpeed
5083
AutoTRASSIR-200 AvgSpeed - Программное обеспечение измерения и контроля средней скорости на участке дороги, генерация от..
Под заказ
10500 ₽
Новинка
AutoTRASSIR-200 Radar
AutoTRASSIR-200 Radar
5014
AutoTRASSIR-200 Radar - Программный модуль интеграции с радарами Искра (Симикон) для использования с системой распознава..
Под заказ
6990 ₽
Новинка
AutoTRASSIR-200/+1
AutoTRASSIR-200/+1
5013
AutoTRASSIR-200/+1 - Программное обеспечение для системы распознавания автономеров (LPR),Дополнительный 1 канал распозна..
Под заказ
16990 ₽
Новинка
AutoTRASSIR-200/1
AutoTRASSIR-200/1
5058
AutoTRASSIR-200/1 1 канал распознавания AutoTRASSIR до 200 кмч на 1 USB-ключ TRASSIR AutoTRASSIR-200/1 1 канал распозна..
Под заказ
60990 ₽
Новинка
AutoTRASSIR-200/2
AutoTRASSIR-200/2
5059
AutoTRASSIR-200/2 2 канала распознавания AutoTRASSIR до 200 кмч на 1 USB-ключ TRASSIR AutoTRASSIR-200/2 2 канала распоз..
Под заказ
77990 ₽
Новинка
AutoTRASSIR-200/3
AutoTRASSIR-200/3
5015
AutoTRASSIR-200/3 - Программное обеспечение для система распознавания автономеров (LPR),3 канала распознавания AutoTRASS..
Под заказ
94990 ₽
Новинка
AutoTRASSIR-200/4
AutoTRASSIR-200/4
5060
AutoTRASSIR-200/4 4 канала распознавания AutoTRASSIR до 200 кмч на 1 USB-ключ TRASSIR AutoTRASSIR-200/4 4 канала распоз..
Под заказ
129488 ₽
Новинка
AutoTRASSIR-30/+1
AutoTRASSIR-30/+1
5064
AutoTRASSIR-30/+1 Дополнительный 1 канал распознавания AutoTRASSIR до 30 кмч (свыше 4 на 1 USB-ключ TRASSIR) AutoTRASSI..
Под заказ
16990 ₽
Новинка
AutoTRASSIR-30/1
AutoTRASSIR-30/1
5061
AutoTRASSIR-30/11 канал распознавания AutoTRASSIR до 30 кмч на 1 USB-ключ TRASSIR AutoTRASSIR-30/1 Программное обеспече..
Под заказ
43990 ₽
Новинка
AutoTRASSIR-30/2
AutoTRASSIR-30/2
4991
AutoTRASSIR-30/2 - Программное обеспечение AutoTRASSIR - система распознавания автономеров (LPR) до 30 кмч, поддерживают..
Под заказ
60990 ₽
Новинка
AutoTRASSIR-30/3
AutoTRASSIR-30/3
5062
AutoTRASSIR-30/33 канала распознавания AutoTRASSIR до 30 кмч на 1 USB-ключ TRASSIR AutoTRASSIR-30/3 Программное обеспеч..
Под заказ
77500 ₽
Новинка
AutoTRASSIR-30/4
AutoTRASSIR-30/4
5063
AutoTRASSIR-30/4 AutoTRASSIR-30/4 Программное обеспечение AutoTRASSIR - система распознавания автономеров (LPR) до 30 к..
Под заказ
110822 ₽
Новинка
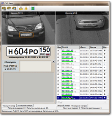
CVS АВТО (лицензия на 1 канал)
CVS АВТО (лицензия на 1 канал)
5005
CVS АВТО (лицензия на 1 канал) - Система автоматического определения государственных регистрационных знаков транспортных..
Под заказ
15000 ₽
Новинка
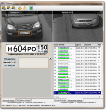
CVS АВТО (лицензия на 2 канала)
CVS АВТО (лицензия на 2 канала)
5947
Система автоматического распознавания государственных регистрационных знаков транспортных средств.СУБД встроена в програ..
Под заказ
30000 ₽
Новинка
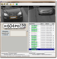
CVS Авто (Лицензия на 3 канала)
CVS Авто (Лицензия на 3 канала)
6055
Система автоматического определения государственных регистрационных знаков транспортных средств. Система автоматическог..
Под заказ
45000 ₽
Новинка
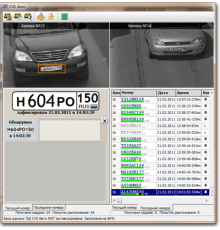
CVS Авто (Лицензия на 4 канала)
CVS Авто (Лицензия на 4 канала)
6056
Система автоматического определения государственных регистрационных знаков транспортных средств. Система автоматическог..
Под заказ
60000 ₽
Новинка
CVS Авто+(Лицензия на 1 канал)
CVS Авто+(Лицензия на 1 канал)
6057
Система автоматического определения государственных регистрационных знаков транспортных средств. Лицензия на один канал ..
Под заказ
25000 ₽
Показано с 1 по 24 из 324 (всего 14 страниц)

Узнать подробнее